Video iz članka:

Prihaja najmočnejše letošnje neurje na svetu. Premier: Na kolenih sem in molim.

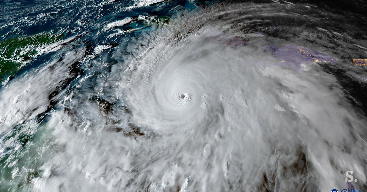
Orkan Melissa se je do ponedeljka zvečer okrepil v neurje najvišje, pete stopnje in se s hitrostjo vetrov prek 280 kilometrov na uro počasi in nezadržno približeval Jamajki, ki naj bi jo dosegel danes popoldne po srednjeevropskem času. Gre za najmočnejše letošnje neurje na svetu, ki je na Jamajki že pred prihodom zahtevalo tri smrtne žrtve.
Več na Siol.net